| Találatok száma: 31262 üzenet |
|
|

m a x

Tagság: 2003-11-19 18:32:14 Tagszám: #7419 Hozzászólások: 31262
|
9052. Elküldve:
2010-09-09 15:19:20 |
[12326.] |
Minden létező törvényt, rendeletet megszegnek, és elhajtják a rendőrt? Mégis hol élünk???
XI.-ben kötelező a chip. Kié a kutya? Oltása van? Hány méteres a madzag? Közterületen van?
Soroljam még hány kérdésre nem tudnának választ adni?
|
| |
|
[válaszok erre: #9053]
|
[előzmény: (9050) beniona, 2010-09-09 14:20:25]
|
|
Kiváló dolgozó  |
|

m a x

Tagság: 2003-11-19 18:32:14 Tagszám: #7419 Hozzászólások: 31262
|
11736. Elküldve:
2010-09-09 15:16:05 |
[12327.] |
Tuti sokkal öregebb, ma volt a kezemben. Fogát ugyan nem néztem (uszinál úgysem lehet azalapján eldönteni) de a szeme, mozgása az 10+
|
| |
|
[válaszok erre: #11738]
|
[előzmény: (11735) Rubic, 2010-09-09 14:54:40]
|
|
Kiváló dolgozó  |
|

m a x

Tagság: 2003-11-19 18:32:14 Tagszám: #7419 Hozzászólások: 31262
|
11734. Elküldve:
2010-09-09 14:06:22 |
[12328.] |
Reméljük már csak a választásokig igaz, hogy valakinek azért lehet köztisztviselői állása (az összes juttatással, kedvezménnyel) napi 20 perc melóra, mert hajdan szocialista újságnál dolgozott...
Az egész egy szocialista nagyüzem... Köztisztviselői státusz van, akkor azt tartunk. Gondozói státusz nincs, akkor nem átszervezünk, hanem nem veszünk fel gondozót akkor sem, ha kellene.
Ha valamelyik kocsi megsérül, akkor nem a központból megy ki 1 ember kárt felmérni, hanem a teherautó megy be 2 emberrel a központba (2 óra a dugóban oda-vissza, + várni az illetékesre 1 órát a két amúgy nem helyettesíthető embernek) hogy lefotózzák, jegyzőkönyvezzék az autót.
A BKV sehol nincs ehhez képest
|
| |
|
[válaszok erre: #11737]
|
[előzmény: (11733) kasznakata, 2010-09-09 13:50:15]
|
|
Kiváló dolgozó  |
|

m a x

Tagság: 2003-11-19 18:32:14 Tagszám: #7419 Hozzászólások: 31262
|
9047. Elküldve:
2010-09-09 13:30:40 |
[12329.] |
280-6832 Illatos út
|
| |
|
|
[előzmény: (9046) Eddagirl, 2010-09-09 13:25:29]
|
|
Kiváló dolgozó  |
|

m a x

Tagság: 2003-11-19 18:32:14 Tagszám: #7419 Hozzászólások: 31262
|
11732. Elküldve:
2010-09-09 13:21:29 |
[12330.] |
Ez a kalimpa tényleg csak kerékkötőnek van... Meglátta, hogy bent vagyok, gyorsan elrohant fotózni. Sajnos ahol előttem járt, azokról a kutyákról már nem tudtam jó képet csinálni, mert már frászoltak a fotómasinától...
Ezek után feltöltötte azt a 2 kutyát, akik az első oldalon vannak a weblapjukon, a második oldalon lévők már nem tűntek fel neki.
Mire kifelé jöttem már túl is volt a mai munkáján, békésen ücsörgött, dohányzott és telefonált az irodaépület előtt a padon.
Inkább ne csinálna semmit...
|
| |
|
[válaszok erre: #11733]
|
|
|
Kiváló dolgozó  |
|

m a x

Tagság: 2003-11-19 18:32:14 Tagszám: #7419 Hozzászólások: 31262
|
11730. Elküldve:
2010-09-09 12:48:21 |
[12331.] |
<IMG src=" " border="0">
Őt hoztuk egyiknek. A laborja negatív, tök süket, nem tudni mennyit lát, és vagy a gerincével van valami, vagy passz... Na ő a passz miatt ment kórházba.
A másik egy apricot törpe uszkár, aki egy merő szőrpáncél, alatta meg hemzsegnek a nyűvek. Hogy csak a nyűvek miatt nem áll a lábán, vagy van egyéb is, az majd a kórházban kiderül, képtelenség volt megvizsgálni, kétszer bódítani meg nem akartuk, inkább ment röptében ki.
Tetkóját már nyomozzuk. Szuka, 10 éves.
|
| |
|
[válaszok erre: #11731]
|
[előzmény: (11729) T.Anna, 2010-09-09 12:28:35]
|
|
Kiváló dolgozó  |
|

m a x

Tagság: 2003-11-19 18:32:14 Tagszám: #7419 Hozzászólások: 31262
|
11727. Elküldve:
2010-09-09 12:20:53 |
[12332.] |
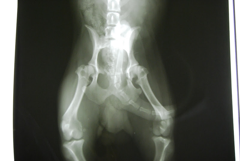
S.O.S
Kan, nem is öreg, leadott, chipes, csimbókos, tele van toklásszal,...
A medencéje törött, de nem feltétlen operálandó. Még ortopéd orvos nem látta a röntgent.
Mi másik két nyomorultat hoztunk ki ma (az egyik egy állatorvosi ló, a másik meg sok a telepen), őt már meghagynánk valaki másnak...
|
| |
|
[válaszok erre: #11728 #11759]
|
|
|
Kiváló dolgozó  |
|

m a x

Tagság: 2003-11-19 18:32:14 Tagszám: #7419 Hozzászólások: 31262
|
9040. Elküldve:
2010-09-09 12:03:13 |
[12333.] |
HELP!
A Szerémi úton (a Lágymányosiról lehajtva) a Galambóc és az Etele közti szakaszon az út melletti fűben van egy fehér kupac, ami kutyának látszik.
Meg tudná nézni valaki? Nem tudtam megállni sem, visszamenni sem.
|
| |
|
Kiváló dolgozó  |
|

m a x

Tagság: 2003-11-19 18:32:14 Tagszám: #7419 Hozzászólások: 31262
|
28559. Elküldve:
2010-09-09 12:01:02 |
[12334.] |
HELP!
A Szerémi úton (a Lágymányosiról lehajtva) a Galambóc és az Etele közti szakaszon az út melletti fűben van egy fehér kupac, ami kutyának látszik.
Meg tudná nézni valaki? Nem tudtam megállni sem, visszamenni sem.
|
| |
|
[válaszok erre: #28563]
|
|
|
Kiváló dolgozó  |
|

m a x

Tagság: 2003-11-19 18:32:14 Tagszám: #7419 Hozzászólások: 31262
|
11724. Elküldve:
2010-09-09 09:03:54 |
[12335.] |
Tuti nem róla volt szó, ő egy hete bent van, a másik meg tegnap került be.
Fotó majd lesz róla, ha kalimpa ráér ebéd után 5 percet a kutyákra szánni
Tegnap 7 kutya lefényképezése eltartott neki délután 2-ig, aztán még várt picit mielőtt felrakta őket, nehogy már megtudjuk milyen kutyák kerültek be
|
| |
|
[válaszok erre: #11725]
|
[előzmény: (11723) samy, 2010-09-09 08:58:30]
|
|
Kiváló dolgozó  |
|

m a x

Tagság: 2003-11-19 18:32:14 Tagszám: #7419 Hozzászólások: 31262
|
1893. Elküldve:
2010-09-09 08:46:46 |
[12336.] |
Az Illatos utat kétszer megjárt törpicsekünknek ma lesz a szív UH-ja. Bízom benne, hogy csak olyasmit találnak, ami gyógyszerrel karbantartható, mert amikor először bent járt még tünetmentes volt, tuti szedett valami bogyót.
|
| |
|
[válaszok erre: #1894 #1901]
|
|
|
Kiváló dolgozó  |
|

m a x

Tagság: 2003-11-19 18:32:14 Tagszám: #7419 Hozzászólások: 31262
|
9038. Elküldve:
2010-09-09 08:18:15 |
[12337.] |
Ez 5 napos, ennyi idő alatt már elapasztották a tejét.
|
| |
|
|
[előzmény: (9037) Andimama76, 2010-09-09 07:30:22]
|
|
Kiváló dolgozó  |
|

m a x

Tagság: 2003-11-19 18:32:14 Tagszám: #7419 Hozzászólások: 31262
|
11722. Elküldve:
2010-09-08 22:19:38 |
[12338.] |
Mire hazaértem elfelejtettem a nevét Na majd holnap pótolom...
|
| |
|
|
[előzmény: (11721) Mészi Gabó, 2010-09-08 21:38:04]
|
|
Kiváló dolgozó  |
|

m a x

Tagság: 2003-11-19 18:32:14 Tagszám: #7419 Hozzászólások: 31262
|
28529. Elküldve:
2010-09-08 21:10:20 |
[12339.] |
|
| |
|
|
[előzmény: (28528) Jodaszi, 2010-09-08 21:00:43]
|
|
Kiváló dolgozó  |
|

m a x

Tagság: 2003-11-19 18:32:14 Tagszám: #7419 Hozzászólások: 31262
|
28522. Elküldve:
2010-09-08 19:24:30 |
[12340.] |
De őket ilyenkor már nem éred el, csak 10-17-ig van nyitva az iroda...
|
| |
|
[válaszok erre: #28541 #28544]
|
[előzmény: (28521) belland, 2010-09-08 19:10:11]
|
|
Kiváló dolgozó  |
|

m a x

Tagság: 2003-11-19 18:32:14 Tagszám: #7419 Hozzászólások: 31262
|
11719. Elküldve:
2010-09-08 16:13:49 |
[12341.] |
Azért nem piskóta a 17 év... az is csoda volt, hogy az Illatos úti kirándulást túlélte egyáltalán.
|
| |
|
|
[előzmény: (11718) Bundi baba, 2010-09-08 15:59:23]
|
|
Kiváló dolgozó  |
|

m a x

Tagság: 2003-11-19 18:32:14 Tagszám: #7419 Hozzászólások: 31262
|
25. Elküldve:
2010-09-08 14:03:54 |
[12342.] |
Nincs jogosultsága a hozzászólás megtekintésére!
|
| |
|
|
[előzmény: (24) T.Anna, 2010-09-06 20:50:54]
|
|
Kiváló dolgozó  |
|

m a x

Tagság: 2003-11-19 18:32:14 Tagszám: #7419 Hozzászólások: 31262
|
11716. Elküldve:
2010-09-08 13:29:04 |
[12343.] |
Nálatok van a bozont?
|
| |
|
|
[előzmény: (11684) dorkomorko, 2010-09-06 14:53:19]
|
|
Kiváló dolgozó  |
|

m a x

Tagság: 2003-11-19 18:32:14 Tagszám: #7419 Hozzászólások: 31262
|
4468. Elküldve:
2010-09-08 08:26:17 |
[12344.] |
Úgyis, mint MÁOSZ tagszervezet...
Meg a kiemeltség sem annyira fontos, ha amúgy sincs benne semmi
Amelyik topic magától nem tud fentmaradni, az meg is érdemli hogy lecsússzon
|
| |
|
|
[előzmény: (4467) T.Anna, 2010-09-08 08:24:23]
|
|
Kiváló dolgozó  |
|

m a x

Tagság: 2003-11-19 18:32:14 Tagszám: #7419 Hozzászólások: 31262
|
|
Kiváló dolgozó  |
|

m a x

Tagság: 2003-11-19 18:32:14 Tagszám: #7419 Hozzászólások: 31262
|
2117. Elküldve:
2010-09-08 07:25:33 |
[12346.] |
Te olyan buta vagy, hogy lassan el kéne tiltani az állattartástól. Indoklás: a kutyád IQ-ja magasabb, így Te alkalmatlan vagy a tartására
Már mekkora baromság nyaralás miatt begyógyszerezni egy kutyát, meg netről etetési tanácsokat gyűjteni, azt az orvost szidni, ha dagadt mint egy disznó
|
| |
|
[válaszok erre: #2118]
|
[előzmény: (2115) gizella30, 2010-09-07 21:08:11]
|
|
Kiváló dolgozó  |
|

m a x

Tagság: 2003-11-19 18:32:14 Tagszám: #7419 Hozzászólások: 31262
|
28487. Elküldve:
2010-09-07 22:16:39 |
[12347.] |
Ő lehetett az, nem tudták megfogni, az elvesztőnek szóltam:
"Diósdon, a Telenor székháznál (Pannon út) rohangál egy fehér spicc. Aki látja, nem bírja megfogni és mennie kell tovább. Aki tudja, lécci fogja meg, hátha hiányzok otthonról"
|
| |
|
|
[előzmény: (28484) Burger, 2010-09-07 22:01:07]
|
|
Kiváló dolgozó  |
|

m a x

Tagság: 2003-11-19 18:32:14 Tagszám: #7419 Hozzászólások: 31262
|
11713. Elküldve:
2010-09-07 22:13:55 |
[12348.] |
Képek: http://gallery.site.hu/u/max/illatosut/100907/
A hiányzó képeket pótolom, most csak azok vannak fent, ami reggel röptében készült, de Irinci ment rendes fotókat csinálni.
Nincsbentlista:
Lelenc (056)
066 (138K)
111B (051)
112B
113B hazament :-)
118K
121K
151K (121B)
Kutya-segélyszolgálat (153K 096B 099B 151K 064)
157K
161K (019)
|
| |
|
Kiváló dolgozó  |
|

m a x

Tagság: 2003-11-19 18:32:14 Tagszám: #7419 Hozzászólások: 31262
|
493. Elküldve:
2010-09-07 20:51:00 |
[12349.] |
Nem tudom ki volt ilyen villámgyors, de már össze is kötött a gazdival Köszönöm!
|
| |
|
|
[előzmény: (492) m a x, 2010-09-07 20:35:36]
|
|
Kiváló dolgozó  |
|

m a x

Tagság: 2003-11-19 18:32:14 Tagszám: #7419 Hozzászólások: 31262
|
28478. Elküldve:
2010-09-07 20:50:34 |
[12350.] |
Nem tudom ki volt ilyen villámgyors, de már össze is kötött a gazdival Köszönöm!
|
| |
|
[válaszok erre: #28528]
|
[előzmény: (28477) m a x, 2010-09-07 20:35:47]
|
|
Kiváló dolgozó  |
|
|